Удалось выяснить проект развития линий МЦД в 2021 году
- 28 января 2022 01:04
- loader-blog.livejournal.com
В конце минувшего года появилось несколько новых заявок на сайте zakupki.gov.ru по строительству объектов железнодорожной инфраструктуры новых линий Московских центральных диаметров (далее — МЦД).
МЦД-2, МЦД-4
Курская (Курский вокзал)
По реализуемому проекту на Курском вокзале добавятся две строящиеся для дальних поездов Горьковского направления Московской железной дороги платформы № 6 и № 7 (на чертежах — № 11 и № 12), а остальные платформы у здания вокзала (№ 1 — № 4) постепенно реконструируют, расширив тоннель № 2, соединяющий их между собой и со строящимися платформами № 6, № 7, до полноценного подземного вестибюля, первая очередь которого показана на этом фрагменте схемы реконструкции.
Напомню, пешеходный тоннель № 2 — это южный тоннель у вокзала. Посмотрим на схему этапов его реконструкции из этой госзакупки.
Итак, первыми строятся сходы из тоннеля № 2 на платформы № 5 — № 7, во вторую очередь — сход на платформу № 4, в третью — сход на платформу № 3, в четвёртую — сходы на платформы № 2 и № 1.
Путепровод через Волочаевскую улицу на ПК13+55
Следующий объект, документация по которому есть в той же госзакупке, — это железнодорожный путепровод через Волочаевскую улицу Горьковского и Курского направлений Московской железной дороги. Сейчас в этом месте проходят пять главных путей, а будет восемь. Вот как будут нумероваться пути в будущем с севера на юг: 3-й и 4-й Горьковского направления, 4-й и 3-й Курского направления (перспективные), 2-й и 1-й Курского направления, 1-й и 2-й Горьковского направления. Но это в будущем, а сейчас южнее пяти действующих путей строится новый путепровод для 1-го главного Курского, 1-го и 2-го главных Горьковских путей.
Первая схема показывает этап ввода нового южного путепровода над улицей Волочаевская. Помимо проходящих по нему путей, в работе останутся 2-й и 3-й главные пути Курского направления. Предположу, что на схеме ошибка, так как сейчас 3-й главный путь есть только у Горьковского направления. В то же время на перспективу здесь будет именно 3-й главный Курского, но оставить на время Горьковское направление без подхода к Курскому вокзалу 3-го пути для дальних поездов — вещь сомнительная (даже несмотря на наличие для оборота отдельной платформы на Нижегородской).
Следующий этап — ввод на месте части старого путепровода двух однопутных новых пролётов для 3-го и 4-го главных путей Горьковского направления. Ну а заключительный аккорд этой пьесы — строительство трёхпутного пролёта на месте оставшейся части старого путепровода для 4-го и 3-го перспективных главных путей Курского направления и 2-го главного пути его же.
Путепровод через шоссе Энтузиастов на ПК20+10
Аналогично для расширения числа главных путей с шести до восьми через шоссе Энтузиастов строятся новые двухпутные пролёты (короткий балочный и длинный арочный) рядом с тем путепроводом, что там существует. Схема из проекта организации строительства:
На штампах схемы и графика работ стоят логотипы ООО «Интермост».
МЦД-3, ВСМ-1
Путепровод на ПК6048+50 (Радищево — Алабушево)
Формально перегон Алабушево — Крюково уже не входит в МЦД-3, и работы тут будут проводиться по титулу строительства первой высокоскоростной железнодорожной магистрали Москва — Санкт-Петербург (далее — ВСМ), для которой проектируются 5-й и 6-й главные пути Ленинградского направления на участке от Ленинградского вокзала до Крюково. Однако реконструкция для этого проекта, совмещаемого с МЦД-3, коснётся и следующих перегонов. Так, на участке между Алабушево и следующей от Москвы платформой Радищево запланирована путепроводная развязка. От 5-го главного пути ВСМ отойдёт путь 6-а, который пересечёт 1-й и 2-й главные пути и примкнёт к последнему. Аналогично от 6-го главного пути ВСМ отойдёт путь 5-а и примкнёт к 1-му главному. Для пути 6-а будет построен путепровод на ПК6048+50.
Здесь и далее я буду вставлять изображения из этой госзакупки. Также на известных ранее схемах (первая и ниже) здесь был изображён ещё один путепровод для 5-го и 6-го главных путей ВСМ над путём 5-а. Но свежая картинка обходится только контурами путей ВСМ в этом месте.
Путепровод на ПК6173+65 (Алабушево — Крюково)
Перегон Алабушево — Крюково: планируется пересечение с проектируемой автодорогой Алабушево — Силино, проектируемой АО «Мосинжпроект». Для 1-го и 2-го главных путей был предусмотрен тоннель в насыпи. Правда, это старый вариант, ведь проектируемые пути парка экипировки и отстоя депо Крюково не были учтены, так как тоннель проектировали до МЦД-3. Теперь его нужно перепроектировать на большую длину, чтобы провести и под ними.
Зато автодорогу уже учитывают в рамках путепровода для 5-го и 6-го главных путей (ВСМ) на Ленинградском направлении Октябрьской железной дороги.
На проектных схемах можно прочитать, что автодорога должна соединить Алабушевскую улицу с улицей Конструктора Лукина и 684-м проездом.
Также рассматривались три варианта проекта путепровода, но я приведу лишь принятый наиболее дешёвый вариант. График от ООО ФСК «Мостоотряд-47»:
Крюково, Малино, путепровод на ПК6149+8,59
Выше схема, которая была доступна ранее, ниже новый вариант. Удлиняемый северный подземный переход теперь вытянут на восток, а южный подземный пешеходный переход, который могли ликвидировать, получил выход рядом с восточным выходом строящегося надземного конкорса. Таким образом, оба перехода сохранят для потока транзитных пешеходов, выходов на платформы они иметь не будут. Переход через конкорс будет в платной зоне (см. схемы).
Также для станции Крюково, платформы Малино и путепроводной развязки на ПК6149+8,59 доступны схемы этапов строительства (первую пропустил).
На первых этапах строятся новые островные платформы № 2 (восточная), № 3 (центральная) и № 1 (западная) на станции Крюково, удлиняется надземный пешеходный переход на платформе Малино, строится путепровод на ПК6149+ 8,59 между платформами Малино и Фирсановская.
Следующие четыре этапа (выше) — локальное переустройство путей Крюково.
Последние три картинки — это подготовка к вводу и ввод МЦД-3. А вот путей ВСМ на схемах почему-то нет, это уже следующий этап развития. Насчёт путепровода на ПК6149+8,59: можно посмотреть схемы и план-график тут.
Мосты на перегонах Новоподрезково — Молжаниново — Химки
Между платформой Новоподрезково и станцией Химки для 5-го и 6-го главных путей (ВСМ) планируется построить три моста через ручьи на ПК6329+17, ПК6354+50 и ПК6374+75.
График по мосту на ПК6374+75 такой же, за исключением цифр в таблице, пункт 5 — 204 кубических метра, пункт 8 — 197,9 кубических метра.
Тоннель подъездного пути на ПК6390+50 (станция Химки)
Для того чтобы сохранить подъездной путь ГУП «НПО им. С. А. Лавочкина», под 5-м и 6-м главными путями (ВСМ) будет построен тоннель на ПК6390+50.
Мост через канал имени Москвы на ПК6411+00
Ещё один двухпутный пролёт будет перекинут через канал имени Москвы для 5-го и 6-го главных путей (ВСМ) Ленинградского направления Октябрьской железной дороги. Схема путепровода:
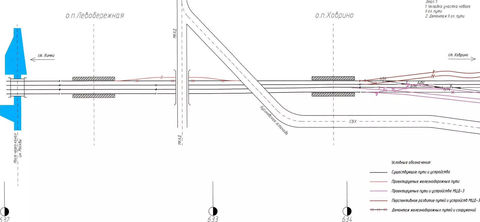
Левобережная — Ховрино
Стали доступны схемы этапов строительства конкорса и новых платформ на Левобережной и реконструкции недавно открытой платформы Ховрино (там построят новую западную береговую платформу в направлении на Москву).
На этапе № 2 — строительство временных платформы № 2 и пешеходного моста.
На этапе № 8 — укладка 5-го и 6-го главных путей к западу от 1-го главного пути.
Ховрино — Грачёвская — Лихоборы (НАТИ), путепроводы и мост
На ПК6347+94,48 между остановочными пунктами Ховрино и Грачёвская будут возведены три новых двухпутных путепровода развязки с подъездным путём и соединительной ветвью № 2а с Ленинградского направления Октябрьской железной дороги на Московское центральное кольцо.
Я уже публиковал информацию о проекте, сроках строительства и графике по новому путепроводу для 1-го и 3-го главных путей. Выше схема, на которой виден и соседний путепровод для 5-го и 6-го главных путей (ВСМ), а третий для 2-го и 4-го запланирован на перспективу. Есть также мост через реку Лихоборка для 5-го и 6-го главных путей между ПК6476 и ПК6477.
Петровско-Разумовская (Петровско-Разумовское)
Насколько я понял из свежих схем, тут изменилась конфигурация платформ на Ленинградском направлении. Предыдущий проект предусматривал три островные, а сейчас хотят сделать две береговых и две островных, итого аж четыре штуки. Вот схема ООО «Желдорпроект» от 28 сентября 2021-го:
Теперь сравним две схемы — более раннюю и датированную 1 октября 2021 года, причём на последней нет западной островной платформы для ВСМ.
Чем вызвано такое перепроектирование, трудно сказать. Ведь комплекс из четырёх платформ займёт большую ширину, нежели набор из трёх, а с двух сторон от крайних платформ тут планируются перспективные автодороги — продление Северо-восточной хорды в центр и соединение улиц Академика Королёва и линии Октябрьской железной дороги.
Выше снова сравнение двух крайних вариантов проекта конкорса со стороны остановочного пункта Ленинградского направления Октябрьской железной дороги (он соединяется с конкорсом одноимённого остановочного пункта, что строится на Савёловском направлении Московской железной дороги). Вторая схема также датирована 1 октября 2021 года, и на ней (сюрприз!) стоит штамп ООО «Проинжиниринг», а ведь ранее проектированием данного узла занималось Архитектурное бюро Тимура Башкаева. Видимо, от них взяли то, что переход между конкорсами будет выполнен в форме крыла. Кстати, как это часто у них бывает, вчера официальные источники выложили, по сути, уже устаревший вариант проекта, посмотреть эти картинки можно здесь.
Есть график работ по конкорсу и платформам Ленинградского направления, но есть и схемы отдельных этапов работ. Я не буду приводить их тут все 12 штук, так как между некоторыми этапами на картинках разница только в перекладке каких-то путей, возьмём основные.
Итак, начинаются работы с переноса всех действующих главных путей вблизи нового положения платформ остановочного пункта Петровско-Разумовская на временные оси к западу от текущего положения (смотри выше). Также тут строится подпорная стена и временный надземный пешеходный переход взамен выводимого из эксплуатации пешеходного моста между северными вестибюлями станций «Петровско-Разумовская» Люблинско-Дмитровской и Серпуховско-Тимирязевской линий метро и Дмитровским шоссе.
После переключения всех главных путей на временные оси строители начнут строить временные платформы остановочного пункта, которые разместятся ещё севернее действующих. Временные береговые платформы соединятся временным пешеходным мостом. Тогда же начнут строить конкорс и три из четырёх постоянных платформ (две береговых и островную) для остановки по четырём действующим главным путям Ленинградского направления.
После пуска временных платформ закроют старые береговые, платформу от Москвы сразу демонтируют, чтобы сдвинуть за её счёт 3-й и 4-й главные пути на постоянные оси. Далее демонтируют старую платформу на Москву, чтобы переложить на постоянную ось 1-й главный путь. К этому моменту должны достроить первую очередь конкорса и три новые постоянные платформы, что даст возможность открыть часть с переходом к Савёловскому направлению и вестибюлю станций метро. В последнюю очередь возводится платформа № 4 (западная, островная) на 5-м и 6-м перспективных главных путях для ВСМ, а также вторая очередь конкорса со сходом на неё и выходом к Дмитровскому шоссе. После полного ввода конкорса временный пешеходный мост должен быть демонтирован, сквозной проход через конкорс будет бесплатным.
Ипподром (47-й километр)
На станции будет сооружён мост для пешеходов, оснащённый лестницами и лифтами на сходах к платформам и на выходах. За станцией построят парк экипировки и отстоя составов МЦД-3. Проектировщик АО «Мосгипротранс». Схемы взяты из этой госзакупки.
На этом сегодня всё. Спасибо за внимание! Подписывайтесь, комментируйте.
- Телеграм
- Дзен
- Подписывайтесь на наши каналы и первыми узнавайте о главных новостях и важнейших событиях дня.


























































Войти через социальные сети: